OFERTA NR IX
DANE OGÓLNE:
Właściciela /oferenta Gmina Zagórz
Adres: 38-540 Zagórz, ul. 3-go Maja 2
Telefon: (013) 46 –22-062 wew. 67
Fax: (013) 46 –22-062
Uprawniony do kontaktu: Referat Gospodarki Nieruchomościami, Planowania Przestrzennego - Ochrony Środowiska i Leśnictwa (GPŚ)
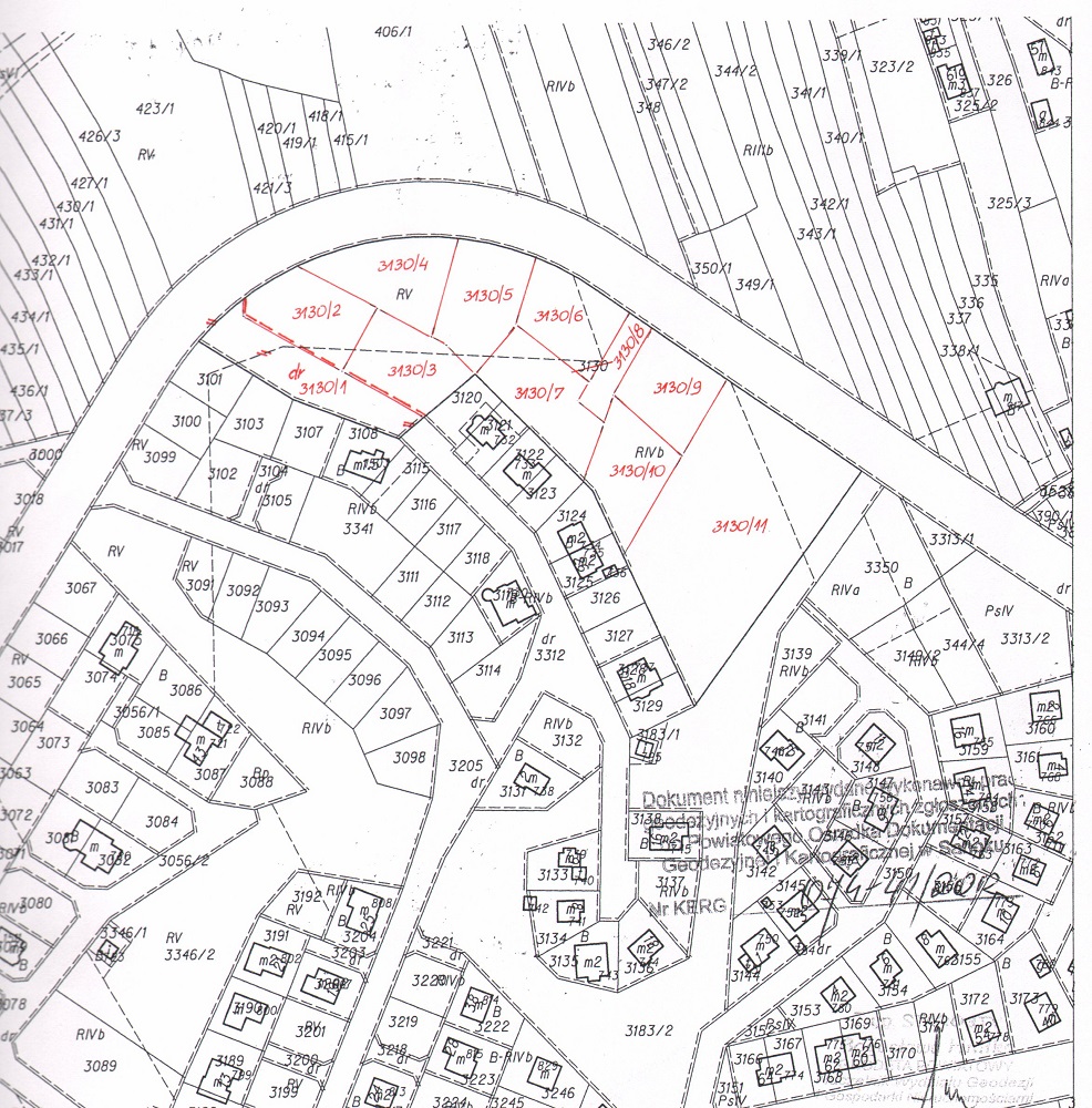
Nr działki, powierzchnia: 3130/10 o pow. 0,1069 ha wraz z 1/3 udziału w działce nr 3130/8 o pow. 0,0387 ha
Lokalizacja: Zagórz
Opis nieruchomości: Działka gruntowa niezabudowana, ukształtowanie terenu z dużym spadkiem w kierunku północno – wschodnim. Kształt działki nieregularny przypominający romb. Grunt przeznaczony do zabudowy jednorodzinnej lub mieszkalno - usługowej. Dojazd do działki drogą publiczną (ul. Krucza) oraz działką nr 3130/8 stanowiącą drogę dojazdową. Istnieje możliwość uzbrojenia we wszystkie media.
Uzbrojenie terenu: Przeznaczenie i sposób jej zagospodarowania w planie zagospodarowania przestrzennego Strefa osadnictwa MU1- obszar mieszkaniowo- usługowy.
Forma udostępnienia : SPRZEDAŻ

